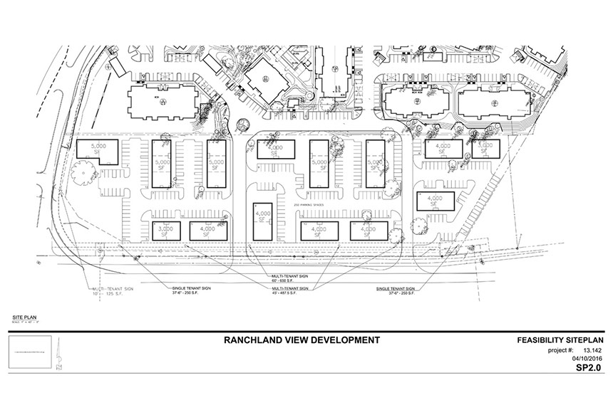
Fair Oaks Crossing

In the rolling hills in Fair Oaks we are leading to the development of a mixed use project with 292 unit Class A multi-family project with professional office/retail development in the front facing IH 10.  Spectacular views combined with beautiful old growth trees make this site worth being a part of.